Clima en Yucatán: reporte del jueves 26 de septiembre
Se prevé una jornada de lluvias y tormentas debido a que siguien los efectos del huracán 'Helene'

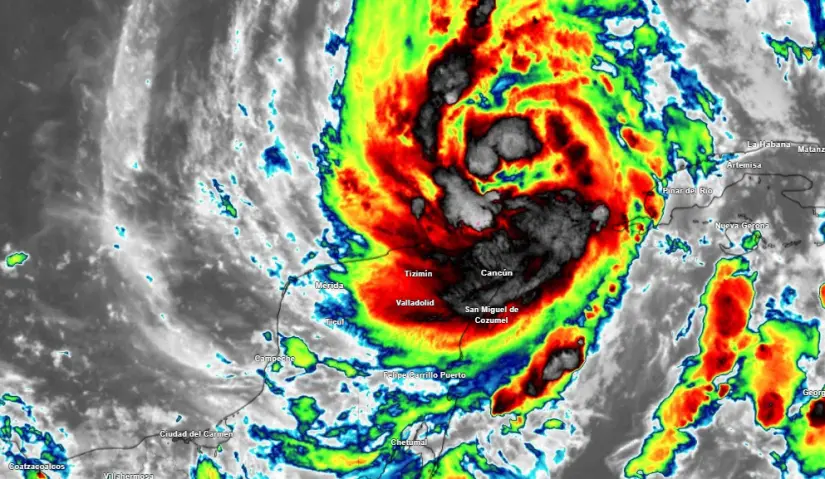
MÉRIDA, Yucatán.- A pesar de que el huracán “ Helene” ya se alejó de la Península para dirigirse a Florida, sus efectos seguirán sintiéndose en la región por lo que se prevén lluvias y tormentas fuertes para este jueves 26 de septiembre , informó en su reporte diario Meteorología Yucatán.
Las temperaturas máximas que se calculan para este día estarán entre 31 a 35 grados centígrados por la tarde y las mínimas estarán entre 25 y 28 grados centígrados por la mañana y noche.
Los pronósticos indican que se presentarán lluvias fuertes dispersas en Yucatán, Campeche y Quintana Roo. Las lluvias podrían venir acompañadas de actividad eléctrica abundante y posibles turbonadas , por lo que es importante tomar precauciones.
Te puede interesar: Huracán Helene impacta Mérida: árbol cae y daña vivienda en Miguel Hidalgo
El huracán “Helene” dejará de influir en nuestra zona desde el fin de semana, pero las lluvias comenzarán por una vaguada pre frontal que se extenderá sobre nuestra región y por la posible llegada de una nueva onda tropical.





